
Allstate Pest Control Inc
DBA of ALLSTATE PEST CONTROL INC
Allstate Pest Control Inc is a pest control provider based in Georgetown, WILLIAMSON County, Texas. They operate under Structural Pest Control Business License TPCL #566270, issued by the Texas Department of Agriculture.
The company is licensed for 4 service categories, including pest control, termite treatment, lawn & landscape care, and wildlife removal. This broad licensing reflects their capacity to handle a wide range of pest management needs, from routine household pest treatment to specialized services.
Allstate Pest Control Inc maintains a strong 4.8-star rating based on 50+ customer reviews, placing them among the highest-rated pest control providers in the Georgetown area.
Licensed for 4 service categories under TPCL #566270
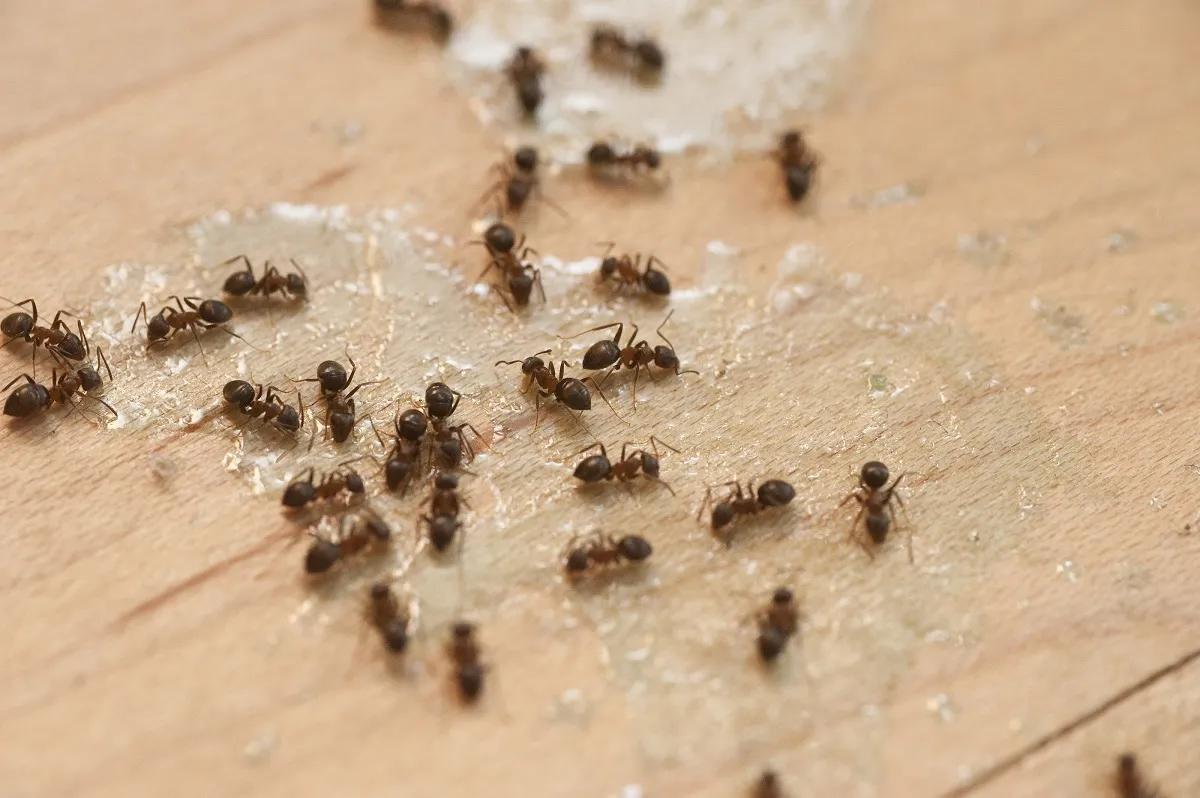
General pest management for common household pests including roaches, ants, spiders, and more
Inspection, treatment, and prevention of subterranean, drywood, and Formosan termites
Lawn pest control, grub treatment, fire ant yard management, and landscape protection
Humane removal of raccoons, opossums, bats, squirrels, skunks, and other wildlife
Also listed on Google as
Based on Allstate Pest Control Inc's licensed service categories
5800 Williams Dr, Georgetown, TX 78633
Open in Google Maps| Day | Hours |
|---|---|
| Monday | 8 AM to 5 PM |
| Tuesday | 8 AM to 5 PM |
| Wednesday | 8 AM to 5 PM |
| Thursday | 8 AM to 5 PM |
| Friday | 8 AM to 5 PM |
| Saturday | Closed |
| Sunday | Closed |
Allstate Pest Control Inc holds TPCL #566270 with 4 authorized service categories
General Pest Control (Category P)
Category P authorizes the company to perform general structural pest control services. This is the most common license category and covers the identification, treatment, and prevention of common household and commercial pests.
What this license covers:
- Cockroaches, ants, spiders, silverfish, and crickets
- Bed bugs, fleas, ticks, and mosquitoes
- Wasps, hornets, and other stinging insects
- Scorpions, centipedes, and occasional invaders
- Interior and exterior perimeter treatments
- Preventive pest management programs
Why it matters: Category P is the foundation license for most pest control companies. It ensures the company has trained technicians who understand pest biology, proper pesticide application, and safety protocols for treating homes and businesses.
Termite Treatment (Category T)
Category T authorizes the company to inspect for, treat, and prevent termite infestations. This is a specialized license requiring additional training in termite biology, soil treatment, and structural assessment.
What this license covers:
- Subterranean termite treatment (liquid barriers and bait systems)
- Drywood termite treatment (localized and whole-structure)
- Formosan termite identification and treatment
- Pre-construction termite prevention for new buildings
- Termite inspections and WDI (Wood-Destroying Insect) reports
- Annual monitoring and warranty programs
Why it matters: Termite treatment requires specialized knowledge of soil chemistry, building construction, and treatment techniques. An incorrect application can fail to protect the structure or cause environmental damage. The T category ensures the company meets TDA standards for termite work.
Lawn & Landscape Care (Category L)
Category L authorizes the application of pesticides to lawns, ornamental plants, trees, and landscape areas. This license covers outdoor pest management separate from structural pest control.
What this license covers:
- Fire ant treatment and yard management
- Grub and chinch bug treatment in turf
- Mosquito yard treatments and barrier sprays
- Flea and tick outdoor applications
- Tree and ornamental insect and disease treatment
- Weed control and pre-emergent applications
Why it matters: Lawn and landscape pesticide application requires understanding of turf grass species, plant sensitivity, environmental considerations like runoff, and proper timing for effective treatment. The L category ensures the applicator is trained in outdoor-specific pest management.
Wildlife Removal (Category W)
Category W authorizes the humane removal and exclusion of nuisance wildlife from structures and properties. Operators must comply with both TDA and Texas Parks & Wildlife Department regulations.
What this license covers:
- Raccoon, opossum, and skunk trapping and removal
- Bat exclusion (seasonal restrictions apply)
- Squirrel removal and attic exclusion
- Snake identification and removal
- Bird removal from structures
- Animal damage repair and entry point sealing
Why it matters: Wildlife removal requires knowledge of animal behavior, humane trapping methods, species-specific regulations, and exclusion techniques. Improper removal can violate state and federal wildlife protection laws. The W category ensures compliance with all applicable regulations.
Common questions about pest control services in Georgetown, TX
Do I need a contract for pest control services?
Not necessarily. Many Texas pest control companies offer both one-time treatments and ongoing service plans. Contracts with quarterly or monthly service often include re-treatment guarantees and lower per-visit costs. Review cancellation terms and satisfaction guarantees before signing.
What questions should I ask before hiring a pest control company?
Key questions include: Are you licensed by the Texas Department of Agriculture? What is your TPCL number? What specific treatment do you recommend and why? What products will you use? Do you offer a guarantee or warranty? Are your technicians certified applicators? What preparation is needed on my part?
Should I get multiple quotes before choosing a pest control company?
Yes. Getting 2–3 estimates is recommended. Compare not just price but also the scope of service, products used, guarantees offered, and customer reviews. The cheapest option is not always the best — look for licensed, well-reviewed companies that clearly explain their treatment plan.
What is a TPCL license in Texas?
TPCL stands for Texas Pest Control License, issued by the Texas Department of Agriculture (TDA). It is required for any business performing structural pest control in Texas. The license must be renewed annually and requires proof of insurance, a certified applicator on staff, and compliance with TDA regulations.
What does it mean when a pest control license is inactive?
An inactive license means the company has not renewed their TPCL with the Texas Department of Agriculture. This could be due to business closure, failure to meet insurance requirements, or voluntary non-renewal. Companies with inactive licenses cannot legally perform pest control services in Texas.
What pests does general pest control cover?
General pest control (Category P) covers common household pests including cockroaches, ants, spiders, silverfish, earwigs, crickets, centipedes, and occasional invaders. Some companies include mosquito and flea treatments in their general service, while others offer these as add-ons.
What types of termites are found in Texas?
Texas has three main termite types: Eastern subterranean termites (most common, found statewide), Formosan subterranean termites (aggressive species in Southeast Texas and coastal areas), and drywood termites (found in attics and furniture, mainly in South and Coastal Texas). Each requires different treatment approaches.
Is lawn pest treatment safe for my pets?
Most professional lawn treatments are pet-safe once dry, usually within 1–2 hours. Granular products may require watering in and drying before allowing pet access. Let your technician know you have pets so they can select appropriate products and advise on re-entry timing.
What animals does wildlife removal cover?
Wildlife removal (Category W) in Texas covers raccoons, opossums, squirrels, skunks, bats, armadillos, snakes, birds (when nesting in structures), and rats/mice. Licensed operators use humane trapping and exclusion methods in compliance with Texas Parks & Wildlife Department regulations.
How should I handle a wasp nest near my home?
Do not attempt to remove wasp nests yourself, especially paper wasp nests, yellow jacket ground nests, or large hornet nests. Wasps can sting repeatedly and attack in numbers when their nest is threatened. A licensed pest control professional can safely remove the nest and treat the area to discourage rebuilding.
What venomous snakes are found in Texas?
Texas has four types of venomous snakes: rattlesnakes (Western diamondback, timber, and others), copperheads (common in East and Central Texas), cottonmouths/water moccasins (near water sources), and coral snakes (Southeast Texas). If you cannot identify a snake, keep your distance and call a wildlife removal professional.
What pest control regulations does Texas have?
Texas pest control is regulated by the Texas Department of Agriculture (TDA) under the Texas Structural Pest Control Act. All pest control businesses must hold a TPCL license, employ a certified applicator, maintain insurance, and follow specific rules for pesticide application, record keeping, and consumer protection.
What is heat treatment for pests?
Heat treatment involves raising the temperature of an infested area to 130–145°F using industrial heaters. It is the most effective treatment for bed bugs and can also treat drywood termites in localized areas. The high temperature kills all life stages including eggs. No chemicals are used, and rooms can typically be re-occupied the same day.
- TPCL #
- 566270
- License Type
- P — Pest ControlT — Termite TreatmentL — Lawn & Landscape CareW — Wildlife Removal
- Issued
- N/A
- Renewed
- N/A
- Expires
- October 31, 2025
- Insurance Exp.
- N/A
- Operator
- THOMAS M SKELTON
- Legal Name
- ALLSTATE PEST CONTROL INC
Licensed by the Texas Department of Agriculture. Verify at texasagriculture.gov
- CityGeorgetown
- CountyWILLIAMSON
- ZIP78633
- Services4
- Reviews50+
More Pest Control in Georgetown

Georgetown Pest Control

Georgetown Pest Control

EvoFoam Pest Control

EvoFoam Pest Control

It's Bugs Or Us Pest Control - Hill Country
